Así ha quedado la provincia de Cebú tras el paso del tifón Kalmaegi. Reuters
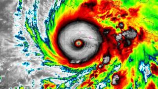
El tifón Kalmaegi arrasa Filipinas y deja al menos 114 muertos y 127 desaparecidos
El presidente filipino, Ferdinand Marcos Jr., ha declarado el estado de calamidad nacional por la envergadura del desastre.
Más información: El huracán Melissa coge fuerza y sube a categoría 2 rumbo a Bahamas tras arrasar Jamaica y Cuba: deja 49 muertos a su paso
Al menos 114 personas murieron y 127 permanecen desaparecidas tras el paso por Filipinas del tifón Kalmaegi, uno de los más fuertes de la temporada, indicó este jueves la Oficina de Defensa Civil. Según las autoridades, cerca de 437.000 habitantes tuvieron que ser evacuadas.
La isla de Cebú, con 71 fallecidos, es la zona más afectada por Kalmaegi, que cruzó entre el martes y el miércoles el país con vientos huracanados e intensas precipitaciones, declaró Rafaelito Alejandro, subdirector de la Defensa Civil, a la emisora DZMM.
"Debido a la envergadura del golpe en las zonas afectadas por el tifón he aprobado que se declare el estado de calamidad nacional", detalló el presidente, Ferdinand Marcos Jr., tras una reunión para abordar el desastre.
Cars and debris surged through flooded streets as Typhoon Kalmaegi slammed into the central Philippines, submerging homes and leaving at least 48 people dead. pic.twitter.com/aGJbSqWGc2
— AccuWeather (@accuweather) November 4, 2025
Casi dos millones de personas en más de 360 localidades se han visto afectadas por Kalmaegi, conocido en el país como Tino, de las cuales más de medio millón se encuentran desplazadas, según los últimos datos del Consejo Nacional para la Reducción y Gestión del Riesgo de Desastres (NDRRMC).
El tifón, que tocó tierra en siete ocasiones en Filipinas, inundó pueblos enteros en Cebú, que en octubre sufrió un terremoto de magnitud 6,9 por el que murieron al menos 72 personas, y la isla de Negros, en la región central de Bisayas.
Las imágenes muestran a personas refugiadas en los tejados de sus casas, mientras las fuertes corrientes de agua movían vehículos y contenedores de mercancías.
Entre los muertos se incluyen seis soldados que fallecieron cuando su helicóptero se estrelló el martes en la isla de Mindanao cuando participaba en los operativos de rescate.
Mientras Filipinas se recupera del desastre en el centro del archipiélago, las autoridades de la isla septentrional de Luzón -donde se ubica Manila- se preparan para la posible llegada de una tormenta tropical que se espera gane fuerza hasta convertirse en un supertifón antes de tocar tierra el lunes, según el departamento de Meteorología.
Filipinas sufre unos veinte tifones y tormentas tropicales al año, especialmente en la temporada de lluvias, que suele comenzar en junio y terminar en noviembre o diciembre, y los científicos advierten que las tormentas se están volviendo más poderosas debido al cambio climático.
Kalmaegi abandonó este jueves las aguas territoriales de Filipinas y se encuentra sobre el mar de China Meridional rumbo a las provincias centrales de Vietnam, donde podría tocar tierra esta tarde.
Por su parte, las autoridades vietnamitas han ordenado la movilización de efectivos del Ejército para tareas de prevención y mitigación de desastre en una zona que ha sido castigada recientemente por graves inundaciones.