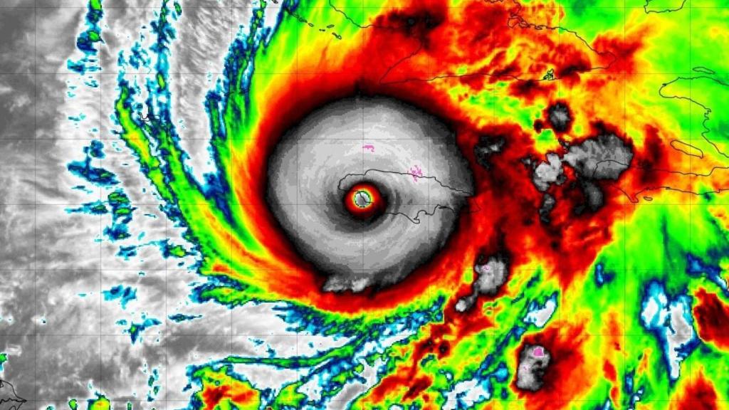
Imagen satelital del huracán Melissa sobre Jamaica.

Imagen satelital del huracán Melissa sobre Jamaica.

Meteorología

De Milton a Melissa: los científicos alertan de que el calentamiento del océano hace los huracanes más destructivos

Los expertos advierten que la subida de la temperatura media de la superficie del océano hace que los fenómenos meteorológicos se vuelvan más extremos.

Más información: "Cumple todos los requisitos para una gran catástrofe": por qué el huracán Melissa puede ser el más destructivo del siglo

Pablo García Santos
Publicada
Actualizada

Las claves

El huracán Melissa, actualmente afectando a Jamaica, ha alcanzado vientos sostenidos de 289 km/h, convirtiéndose en el quinto huracán más intenso registrado en el Atlántico.

La intensificación de los huracanes como Melissa y Milton está ligada al calentamiento de los océanos, que se espera alcance un récord histórico de 21 °C en 2024.

Estudios recientes indican que el cambio climático ha duplicado la probabilidad de que los huracanes en el Atlántico se intensifiquen rápidamente, aumentando su potencial destructivo.

La NOAA predice una temporada de huracanes más activa de lo habitual en el Atlántico, con entre dos y cinco huracanes de gran intensidad este año.

Los efectos del huracán Melissa ya se están notando en Jamaica, con lluvias torrenciales y fuertes vientos. Su intensidad recuerda a la de Milton, el huracán que afectó a la península del Yucatán y la de Florida el pasado año.

Ambos casos son el claro ejemplo de cómo el aumento de la temperatura media de la superficie de los océanos provoca que estos fenómenos meteorológicos sean cada vez más extremos. Así lo llevan advirtiendo durante años los expertos.

Melissa ya ha alcanzado una intensidad máxima de vientos sostenidos de 289 km/h, por lo que se ha convertido en el quinto huracán más intenso que se ha registrado nunca en el Atlántico.

Puede que aún sea pronto como para correlacionarlo con el calentamiento de los océanos, pero lo que les llama la atención a los científicos es que se trata de la cuarta tormenta tropical en el Atlántico que sufre una rápida intensificación, tanto de su velocidad como de su potencia, este año.

El doble de probabilidades

Esta intensificación sí que se ha relacionado ya con la crisis climática que está provocando la actividad humana. Al igual que en el Mediterráneo, en la zona del Atlántico afectada por este huracán se están registrando valores entre 2 y 3 ºC por encima de lo normal.

En las capas más profundas del océano también se están dando estas temperaturas inusualmente cálidas, por lo que aporta una reserva de energía enorme para lo que era la tormenta tropical Melissa.

En 2024, la temperatura superficial media global de los océanos alcanzará un récord histórico de 21 °C, superando todos los registros anteriores. Desde la organización Climate Central estiman que Melissa se ha intensificado hasta 700 veces más de lo que sería probable por el cambio climático.

Uno de sus responsables ha declarado a Associated Press que esto no significa que todas las tormentas tropicales vayan a tener una rápida intensificación. Sin embargo, como "la energía que aporta es enorme", la probabilidad de que ocurra es mayor.

Algunas investigaciones recientes sugieren que las temperaturas más cálidas de la superficie del mar pueden contribuir a que una mayor proporción de ciclones tropicales (incluyen huracanes y tormentas tropicales) experimenten una intensificación rápida.

Precisamente un estudio, publicado en 2023, advirtió que los huracanes del Atlántico tienen ahora más del doble de probabilidades que antes de intensificarse rápidamente y pasar de ser tormentas menores a fenómenos potentes y catastróficos.

Y desde 1979 el calentamiento causado por la actividad humana ha aumentado la probabilidad global de que un ciclón tropical se convierta en un huracán mayor en aproximadamente un 5% por década.

Además de al cambio climático, este calentamiento extremo también se asocia a fenómenos como 'El Niño', ya que suponen alteraciones en la circulación atmosférica y oceánica, con anomalías térmicas que pueden superar los 3 ºC con respecto a los valores normales.

Cercanos a la costa

La intensificación de los huracanes por el calentamiento de los océanos se está haciendo más notable en los puntos cercanos a la costa, pues suelen ser las últimas zonas donde estos fenómenos absorben energía antes de tocar tierra.

La Administración Nacional Oceánica y Atmosférica de Estados Unidos (NOAA, por sus siglas en inglés) ya predijo que la temporada de huracanes en el Atlántico iba a ser este año más activa de lo habitual, con entre dos y cinco huracanes de gran intensidad.

La predicción, por el momento, está siendo bastante acertada. Y es que de los cinco huracanes que se han formado hasta la fecha, sin contar a Melissa, tres de ellos han alcanzado gran intensidad (Erin, Gabrielle y Humberto).

La intensidad de estos huracanes puede que no hubiera sido tan elevada sin el cambio climático. Un informe de Climate Central, de hecho, demostró que Beryl y Milton no se hubieran convertido en huracanes de categoría 5 sin la influencia del cambio climático.

El huracán Milton se intensificó rápidamente por 193 km/h en menos de 36 horas sobre aguas cuyo calentamiento se hizo entre 400 y 800 veces más probables debido al cambio climático. En Beryl, el cambio climático hizo que las aguas oceánicas cálidas fueran hasta 400 veces más probables.

Otro estudio de esta organización analizó los más de 30 huracanes que se dieron en el Atlántico entre 2019 y 2023. El cambio climático también aumentó la intensidad de la mayoría de ellos.

En una treintena de ellos se alcanzaron intensidades una categoría más alta en la escala de vientos de huracanes Saffir-Simpson. Los daños potenciales de los vientos asociados con cada categoría aumentan cuatro veces con cada salto, como explica el meteorólogo Francisco Martín León.

El cambio climático también hizo que las velocidades máximas del viento generadas por aproximadamente el 80% de los huracanes se intensificaran en un promedio de 29 km/h.

Se estima que un aumento de apenas 1 °C en la temperatura de la superficie oceánica puede incrementar la velocidad de los vientos de los huracanes hasta un 5%.